Dokumentace skutečného stavu budovy – Ovocný trh 11 (Dům U Bílého věnce)

Geodetické zaměření objektu Ovocný trh 11 (Dům U Bílého věnce) metodou laserového skenování a zpracování geodetické dokumentace
Geodetické zaměření bylo zpracováno metodou přesného laserového skenování. Tak, aby v měřítku a rozsahu odpovídalo potřebám průkazného a podrobného zobrazení stavební struktury budovy.
Rozsahem má budova pět podlaží - podzemí, přízemí a tři patra.
Dům je původně gotický. Později byl renesančně, barokně a klasicistně přestavěn, nynější podoba je novorenesanční z roku 1890. Fasáda je bohatě zdobená.
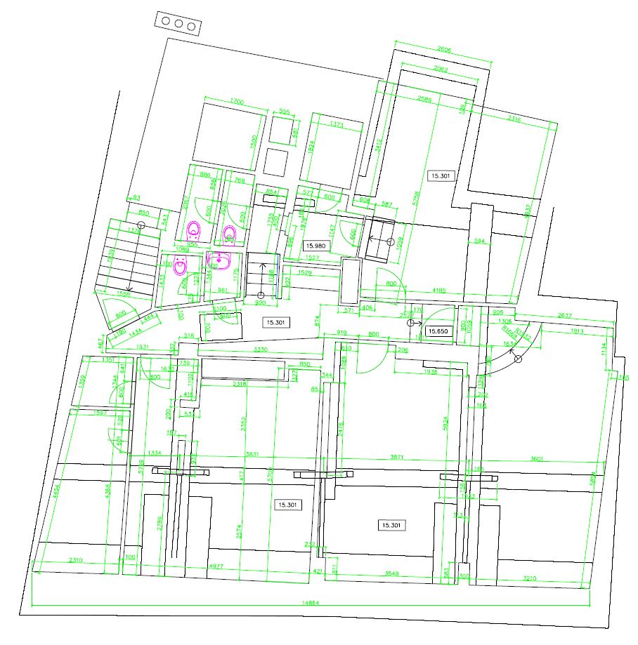
Výstupy:
- Zaměření okolí domu - polohopisný a výškopisný plán
- Zaměření vnitřních prostor - půdorysy jednotlivých podlaží
- Zaměření fasády - pohled na fasádu z ulice



























